Sorry, you need to enable JavaScript to visit this website.
Skip to main content

An official website of the United States government

Soil erosion and water quality treatment results in soil health win

Image
Race moving cows to a new paddock.

Phil Race retired to his property south of Rochester, New York with plans to spend time in his 200-acre woodlot. In 2009, Phil came to the Geneseo Natural Resources Conservation Service (NRCS) Field Office to investigate forestry programs for his land. He had no idea how his life was about to change.

Jo Beth Bellanca, NRCS District Conservationist, visited the property to inventory the woodlot and found she was more concerned with the condition of the cropland that Phil rented out to a local farmer. A few ephemeral gullies had formed, and the consequent soil erosion resulted in sediment leaving the property and entering a neighbor’s pond. Additionally, excessive tillage resulted in very poor soil health. The soil looked like dust and there was no sign of earthworms.

Before she left, and every time she saw Phil after that, Jo Beth would mention with a smile that Phil should really get some cows and convert that land to permanent grass.

Fortunately, Phil’s partner Sharon Pierce had a strong interest in regenerative agriculture and soil and water quality. In 2014, with GLRI funding, they embarked on the journey to convert their conventionally farmed cropland to permanent pasture. They now raise 20 Red Devon beef cattle, four Large Black hogs, and a flock of hens on the former cropland.

Phil and Sharon say that they are “grass farmers.” Their primary goal was to heal the land, with a secondary goal of producing healthy, safe meat on their healthy land. They graze their cattle nine to ten months a year by setting aside several acres for winter grazing. The hogs are grazed during most of the growing season, and those pastures are then planted to deep-rooting cover crops such as radish, rye, and clover to heal any damage and to provide another forage crop.

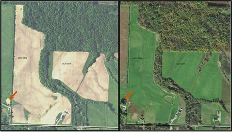
Before (left) and after (right) converting eroding cropland to permanent pasture (note the neighbor’s pond is no longer brown).
Before (left) and after (right) converting eroding cropland to permanent pasture (note the neighbor’s pond is no longer brown).

The erosion has been eliminated, and every year the soil quality improves. The neighbor’s pond, which was built in the headwaters of the Keshequa Creek (part of a GLRI Agricultural Priority Watershed), is no longer green with algae or cloudy with sediment.

In 2018, a neighbor approached Phil and Sharon to see if they would be interested in helping her with her eroding cropland. With GLRI funds, they were able to plant 23 acres of highly erodible cropland to permanent hay. They also repaired a gully, using NRCS technical assistance and their own funds, which had been deepening every year.

In total over 50 acres of eroding cropland was planted using GLRI funds. The improvement in soil quality on the farm and water quality in the Keshequa Creek watershed is visible and measurable.

Prescribed Grazing Management and soil erosion plans were funded through the NRCS Environmental Quality Incentive Program (EQIP) as part of the GLRI to install conservation practices to eliminate sediment and nutrients being discharged into the watershed.